Privatklinik Paracelsus-Haus
ID:
191321148923
/
Datum:
22.01.2010
Datenbestand: Bauforschung
Datenbestand: Bauforschung
Objektdaten
| Straße: | Burghaldenweg |
| Hausnummer: | 60 |
| Postleitzahl: | 75378 |
| Stadt-Teilort: | Bad Liebenzell-Unterlengenhardt |
|
|
|
| Regierungsbezirk: | Karlsruhe |
| Kreis: | Calw (Landkreis) |
| Wohnplatzschlüssel: | 8235008010 |
| Flurstücknummer: | 81/1 |
| Historischer Straßenname: | keiner |
| Historische Gebäudenummer: | keine |
| Lage des Wohnplatzes: |
|
Kartenansicht (OpenStreetMaps)
Durch Ihre Cookie-Auswahl haben Sie die Kartenansicht deaktiviert, die eigentlich hier angezeigt werden würde. Wenn Sie die Kartenansicht nutzen möchten, passen Sie bitte Ihre Cookie-Einstellungen unter Impressum & Datenschutzerklärung an.
Bauphasen
Kurzbeschreibung der Bau-/Objektgeschichte bzw. Baugestaltungs- und Restaurierungsphasen:
Die Privatklinik Paracelsus-Haus wurde 1956/57 nach Plänen von dem Architekten Prof. Paul Heim errichtet. Die Krankenanstalt sollte der stationären Aufnahme und klinischen Behandlung von Patienten mit inneren Erkrankungen dienen.
1980 erfolgte der Umbau der Klinik und deren Erweiterung nach Osten durch den Architekten Fritz Müller aus Stuttgart.
2004-2005 erfolgten die Sanierung und Erweiterung des Westflügels sowie des Mittelbaus.
1. Bauphase:
(1956 - 1957)
(1956 - 1957)
Die Privatklinik Paracelsus-Haus wurde 1956/57 nach Plänen von Prof. Paul Heim errichtet. (a)
Betroffene Gebäudeteile:
keine
2. Bauphase:
(1980)
(1980)
1980 erfolgte der Umbau der Klinik und deren Erweiterung nach Osten unter der planerischen Leitung von Fritz Müller aus Stuttgart. (a)
Betroffene Gebäudeteile:
keine
3. Bauphase:
(2004 - 2005)
(2004 - 2005)
2004 Sanierung und Erweiterung des Westflügels sowie des Mittelbaus. (a)
Betroffene Gebäudeteile:
keine
Zugeordnete Dokumentationen
- Fotodokumentation
Beschreibung
Umgebung, Lage:
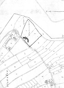
Die Klinik liegt am Dorfrand von Unterlengenhardt an einem Hügel in ca. 600 m Höhe. Von den Krankenzimmern aus ist der Fernblick über die Höhenzüge des Nagoldtales bis zur Schwäbischen Alb möglich.
Lagedetail:
- Siedlung
- Dorf
Bauwerkstyp:
- Bauten für Wohlfahrt und Gesundheit
- Krankenhaus
Baukörper/Objektform (Kurzbeschreibung):
Es handelt sich um einen zweigeschossigen Putzbau in Hanglage.
Innerer Aufbau/Grundriss/
Zonierung:
Zonierung:
Der Grundriss ist sichelförmig. Der Mittelbau ist unterkellert. Im EG und OG befinden sich 2 Zweibett-Zimmer und 10 Einbett-Zimmer. Im DG sind 10 Einbettzimmer und 1 Zweibett-Zimmer untergebracht. Im EG und OG ist vor die Patientenzimmer ein durchgehender Balkonband vorgesetzt. Die Patientenzimmer sind im EG nach Osten zum Tal hin ausgerichtet. Sie alle reihen sich an einer Flur. Nach Westen sind die Stationsräume und Toiletten untergebracht. Im Nordflügel befindet sich nach Osten ein Treppenhaus. Im Turm im Nordosten sind im EG gemeinschaftlichen Nasszellen untergebracht. Im Nordflügel des EG befinden sich Personal- und Küchenräume. Die Grundrissaufteilung im Obergeschoss entspricht im Südflügel und Mittelbau dem des darunter liegenden Geschosses. Im Nordwesten befindet sich der Eingangsbereich. Im Turm des OG’s wurde ein Aufenthaltsraum untergebracht. Im Nordflügel des OG’s befinden sich die Arzträume. Der Südflügel und der Mittelbau im Dachgeschoss entsprechen in der Grundrissgestaltung dem darunter liegenden Geschoss. Über dem Eingangsbereich im OG befindet sich im DG ein Speisezimmer. Die Räume im Nordflügel sind dem Personal vorbehalten.
Vorgefundener Zustand (z.B. Schäden, Vorzustand):
keine Angaben
Bestand/Ausstattung:
Der Eingang wird durch ein überhöhtes Querhaus mit Walmdach betont. Auf der Talseite befindet sich ein durchgehendes Balkonband mit Stützen über beide Geschosse.
Konstruktionen
Konstruktionsdetail:
- Steinbau Mauerwerk
- Betonbau
- Verwendete Materialien
- Beton
- Holz
- Dachform
- Satteldach mit beidseitigem Vollwalm
Konstruktion/Material:
Die verputzten Umfassungswände bestehen aus Bimsmauerwerk. Die Decken sind aus Massivplatten gebaut. Die Treppe ist ebenfalls massiv. Der Balkonband besteht aus Holz.
Im Aufenthaltsraum befindet sich ein Putzgewölbe auf einer Holzunterkonstruktion. Das Gebäude ist mit einem Walmdach überdeckt. Nach Westen wurden Fledermausgauben und nach Osten Schleppgauben angebracht.
Im Aufenthaltsraum befindet sich ein Putzgewölbe auf einer Holzunterkonstruktion. Das Gebäude ist mit einem Walmdach überdeckt. Nach Westen wurden Fledermausgauben und nach Osten Schleppgauben angebracht.


